Lambrusco del Sueno Latino
mâle
Dogo Argentino
né le
06/07/2015

3 ans
2 ans et demi
2 ans et demi
Lambrusco - 18 mois
21 mois
29 mois
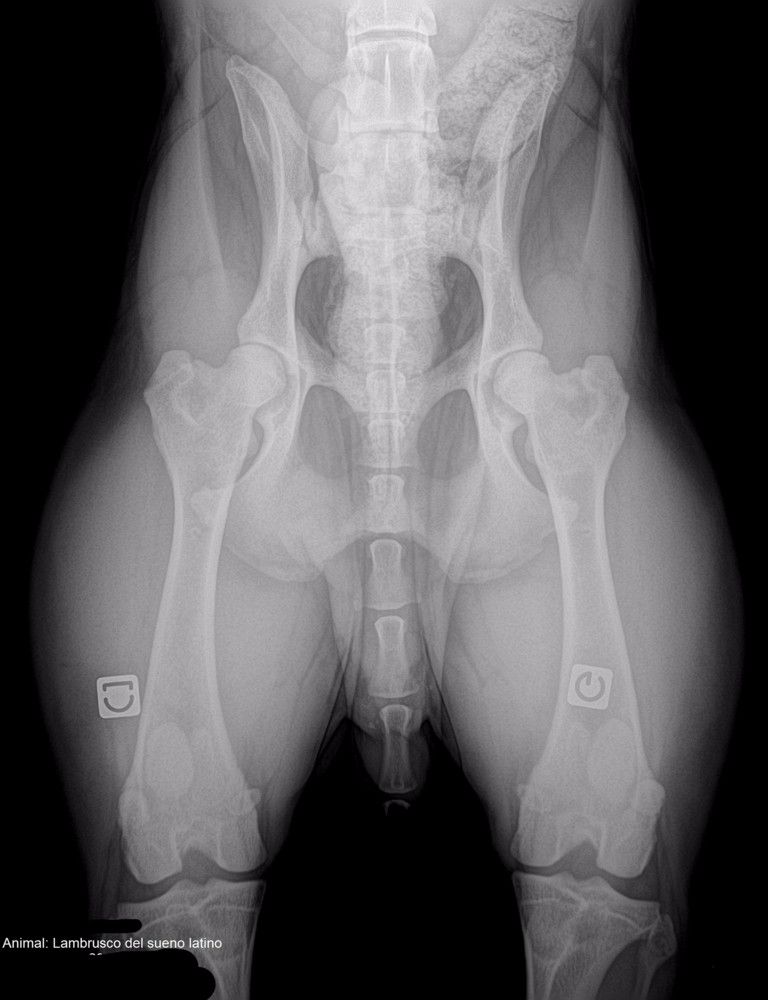
Radiographie hanches
Compte rendu officiel Dysplasie coxo-fémorale
Compte rendu officiel Dysplasie coudes
Test de surdité
Propriétaire : Elevage De ENAMONTE (Espagne)
Informations sur Lambrusco del Sueno Latino
| Sexe | Mâle |
| Couleur | Bla. |
| Puce | 25026XXXXXXX |
| Inscrit au LOF ? | LOF |
| Adn | Identifié + filiation parenté |
| Tares |
A.D.N. : identifié + filiation parenté BAER TEST (surdité) : +/+ entendant bilatéral Dysplasie coxo-fémorale : A/A officiel Dysplasie des coudes : 0/0 officiel |
| Statut | Décédé |
